Status: Closed

Type of posting Posting date(EST): Summary Downloads
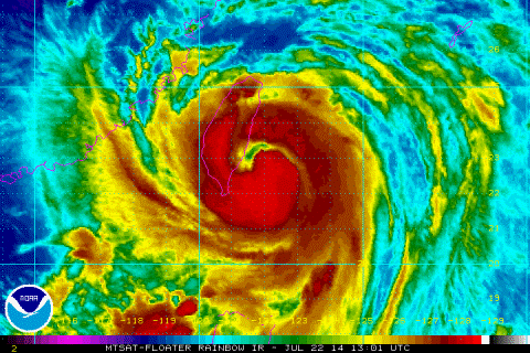
Landfall 7/23/2014 12:00:00 PM checkmark
Pre-Landfall 1 7/22/2014 11:00:00 AM checkmark